皇冠信用网如何申请_上海明后天将有大暴雨,或为1981年以来11月最大降雨
皇冠信用网在线注册(输入9990088.com)皇冠_官方信用网线上直营平台,皇冠信用网代理帐号申请、信用网会员注册受今年第21号台风“康妮”外围环流和冷空气共同影响,31日傍晚到11月1日,上海市有大暴雨,过程雨量120~180毫米,东南部可达220~280毫米,最大小时雨强40~70毫米,降水具有极端性,有可能成为1981年以来11月最大降水过程;31日夜里起风力逐渐增大,11月1日最大陆地阵风8~9级,洋山港区阵风10~11级皇冠信用网如何申请。
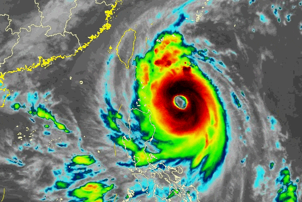
台风“康妮”动态:加强为超强台风皇冠信用网如何申请,逐渐向台湾岛靠近

今年第21号台风“康妮”,今天早晨增强为超强台风,11时其中心位于距离台湾省台东市东南约520公里的太平洋洋面上,中心附近最大风力有17级,中心最低气压为925百帕,七级风圈半径380~480公里皇冠信用网如何申请。
预计“康妮”将以每小时15~20公里的速度向西北方向移动,强度还将有所增强,将于31日中午到下午在台湾岛南部或中部登陆,尔后沿浙闽沿海一带近海北上(也可能在上述沿海地区登陆或擦过),强度迅速减弱皇冠信用网如何申请。

台风外围联手冷空气皇冠信用网如何申请,周四傍晚至周五大暴雨

展开全文
降水预报:注意防范大暴雨
受“康妮”外围环流和冷空气共同影响,10月31日下午起上海市将出现阵雨天气,傍晚开始雨势增强,强降水将持续到2日凌晨,降水集中时段出现在31日半夜至11月1日白天皇冠信用网如何申请。过程累积雨量大暴雨(120~180毫米),上海市东南部地区雨量更显著(局部可达220~280毫米),可能成为上海市1981年以来11月最大降水过程。
注意防范大风
31日夜里起上海市风力逐渐增大,11月1日最大陆地阵风8~9级,高层建筑及沿江沿海地区阵风9~10级,洋山港区阵风10~11级,2日下午风力逐渐减弱皇冠信用网如何申请。
天气提示
台风影响前可适量储备饮用水和食物皇冠信用网如何申请。台风影响期间尽量减少外出。
防范大风皇冠信用网如何申请。妥善收起室外物品,防止高空坠物。不要在临时建筑物附近躲避风雨,车辆停靠远离大树等。
此次过程具有极端性,强降水可能造成局部积水,如在户外注意不要轻易涉水皇冠信用网如何申请。
“康妮”影响期间正值天文大潮期,注意提防风暴增水影响,低洼处有需注意防范皇冠信用网如何申请。
此次过程对交通有较大影响,注意及时了解出行信息皇冠信用网如何申请。
注意及时了解预报预警信息皇冠信用网如何申请。
后期天气趋势:下周冷空气影响皇冠信用网如何申请,气温进一步下降
明天上海逐渐受到“康妮”外围影响,云系增多,下午开始转雨,全天气温在18~23℃之间皇冠信用网如何申请。明天夜间到周五降雨明显,同时风力增大。降雨和冷空气影响,周五和周六气温下降,最高气温仅20℃。周日上海天气恢复平静。下周还有一次冷空气过程,上海以多云天气为主,气温进一步下降。

猜你喜欢
- 2025-12-19皇冠信用盘在哪里注册 _“审美断崖式下跌”!深圳一网红地标因招牌被吐槽,运营方回应
- 2025-12-18hga030手机客户端 _石家庄大雾继续!明天还有雪,最重要的是冷空气也要来了→
- 2025-12-17nba赛程表 _我国已进入拉尼娜状态!四川今冬或“前暖后冷”
- 2025-12-17nba赛程香港时间 _《阿凡达3》北美口碑解禁,评分为系列三部最低!内地预售冷淡映前三天刚过5000万
- 2025-12-17皇冠信用怎么弄 _韩官员感慨:过去还能列出与中国的差距,现在无从下笔
- 2025-12-16皇冠信用网代理平台 _沙特再送大单,计划在华投资300亿,沙特外长表态:决不支持任何台独分裂行径!
- 2025-12-16皇冠信用網正网 _男子家门口吃橘子被邻居一拳打昏,警方通报:因养狗问题起冲突,均有受伤
- 2025-12-16皇冠足球_曼联换人调整:舍什科与利桑德罗的登场如何影响比赛走势?
- 2025-12-16皇冠信用盘足球代理 _广西柳城警方:杀害2女子的男子被抓为不实消息
- 2025-12-15外围买球app十大平台 _张锦平已任新疆维吾尔自治区政府国资委党委书记、副主任
- 2025-12-15皇冠信用网注 _意甲第十五轮:热那亚主场饮恨,国际米兰逆风重登榜首
- 2025-12-15皇冠登录网址_A股重要调整,明起实施


网友评论